Cookie Consent by Free Privacy Policy website

JAVORY OKRASNÉ - ACER

TAB. 2a (1,5 MB)


OKRASNÉ JAVORY (ACER)
Čeleď: Aceraceae (javorovité) Řád: Sapindales


Z velmi obsáhlého rodu javorů (Acer) jsou v arboretu zastoupeny rovněž zajímavé okrasné kultivary těchto dřevin. Jedná se většinou o pomalu rostoucí, středně velké nebo keřovité stromy či keře ozdobné zejména zbarvením a tvarem listů.

Hlavní skupina okrasných javorů je původem v Japonsku, střední Číně a Koreji. Mezi nejkrásnější patří kultivar javoru japonského -Acer japonica´Aureum´ /1/. Tento se vyznačuje zlatožlutými, okrouhlými, dvakrát pilovitými listy, složenými ze 7-11 laloků. Velmi podobným kultivarem je javor shirasawnův – Acer shirasawanum ´Aureum´ /2/. Javor dlanitolistý - Acer palmatum ´Atropurpureum´ /3/ je velmi pomalu rostoucí, s celoročně krásně červeně zbarvenými listy, někdy až k bázi rozeklanými v 5-9 laloků. Rostliny velké 3-4 m jsou v našich podmínkách cennýmiexempláři. V arboretu naleznete krásný stromek převyšující 4 m, jehož stáří je odhadováno na více než 90 let.

A. palmatum ´Dissectum´  /4/ je ještě pomaleji rostoucí zakrslý kultivar s listy peřenoklanými, jemněaž k bázi dělenými.Vyšlechtěn byl již v r. 1784. Vzácně lze spatřit exempláře vysoké 1,5 m. V našem arboretu naleznete skupinku těchto nevšedních stromků před skleníkem. Své uplatnění nalézá tento kultivar též v kultuře bonsai.

Zvláštním laločnatým tvarem listu nás zaujme také kultivar vyšlechtěný z domácího javoru mléče (Acer platanoides), a to - ´Dissectum´ /5/.

Krásné jsou pestrolisté odrůdy poměrně často vysazovaného javoru jasanolistého (Acer negundo), např. ´Flamingo´ /6/ (bíle panašovaný list zpočátku s narůžovělým odstínem a ´Odessanum´/7/ (s listem zlatě až bronzově žlutým).

Dominantou zámeckého nádvoří je již vzrostlý exemplář okrasného kultivaru javoru stříbrného - Acer saccharinum ´Wieri´ /8/, jehož ozdobou jsou hlouběji vykrajované listy a delší převisající větve, často je řazen mezi nejkrásnější stříhanolisté odrůdy javoru.

Ozdobná pestrolistá odrůdabyla vyšlechtěna také z našeho domácího javoru babyky - Acer campestre ´Variegatum´ /9/.

Javor pennsylvánský (Acer pennsylvanicum) /10/, původem z východu Severní Ameriky je ozdobný nejen svým zvláštním mělce tří až pětilaločným listem, krásným zejména v době rašení, ale i podélně šedobíle pruhovanou borkou kmene. Tato výrazná kresba však vyniká až na starších stromcích, které jen velmi pomalu dorůstají výšky cca 7-9 m.

Ojedinělý (z botanického hlediska spíše zajímavý) tvar listu má další odrůda javoru mléče - Acer platanoides ´Cucullatum´- zvaná „drápolistá“ /11/. Listy mají tvar vějíře s drápovitými laloky, které jim dávají poněkud zvláštní až deformovaný vzhled. V arboretu roste také jeden již dospělý strom tohoto zvláštního kultivaru. Naopak vysoce dekorativním dojmem působí A. platanoides ´Drummondii´ /12/, jehož listy jsou nápadné zpočátku krémově žlutým a později bílým širokým lemováním při okrajích a A. platanoides ´Crimson King´ /13/ s listem temně červeným, a to od vyrašení až do opadu.

Také javor klen (Acer pseudoplatanus) má své okrasné kultivary, z nichž je možné si v arboretu prohlédnout např. A. pseudoplatanus ´Leopoldii´ /14/ (v arboretu rovněž jako statný strom) se zajímavě panašovanými listy (na listech jsou náhodně rozmístěny skvrny různé velikosti, tvarů a množství, takže vypadají jako by byly postříkány bílou a nebo žlutavou barvou) a A. pseudoplatanus ´Brillantissimum´, /15/který je menšího vzrůstu s listy zpočátku růžově a bíle zbarvenými.

Ze severoamerických javorů nás zaujme též javor červený (Acer rubrum) /16/. V březnu (před vyrašením listů) se objevují jeho červeně zbarvené květy. Mimořádně krásný je pak tento strom na podzim, kdy se jeho drobné 3-5 laločné listy nádherně šarlatově červeně vybarvují. List tohoto druhu javoru je na kanadském státním znaku.

Neobvyklým druhem javoru je javor habrolistý (Acer carpinifolium) /17/, jehož listy silně připomínají listy habrů. Pokud bychom chtěli tento stromek spatřit ve volné přírodě, je třeba procházet opadavými lesy poblíž horských potoků Japonska.

V arboretu na Žampachu naleznete mnoho dalších druhů javorů, které pomalu dorůstají v zajímavé exempláře. 

Dále o rodu JAVOR (ACER) - informace na stanovišti č. 5

01 javor japonský - Acer japonicum (vlevo)
a javor shirasawnův - Acer shirasawanum ´Aureum´
- Arboretum Žampach

02 javor shirasawnův - Acer shirasawanum ´Aureu´
- Arboretum Žampach

03 javor dlanitolistý - Acer palmatum ´Atropurpureum´
-  Arboretum Žampach

04 javory dlanitolisté, stříhanolisté - Acer palmatum ´Atropurpureum dissectum´ - Arboretum Žampach

05 Javoru mléč -  Acer platanoides ´Dissectum´
- Arboretum Žampach

06 javor jasanolistý -  Acer negundo ´Flamingo´
- Arboretum Žampach

07 javor jasanolistý -  Acer negundo ´Odessanum´
- Arboretum Žampach

08 javor stříbrný - Acer saccharinum ´Wieri´
-  Arboretum Žampach

09 javor polní - babyka - Acer campestre
- Arboretum Žampach

10 javor pennsylvánský -  Acer pennsylvanicum
-  Arboretum Žampach

10 Javor pennsylvánský - Acer pennsylvanicum
- detail borky

11 javor mléč, drápolistý - 
Acer platanoides ´Cucullatum´- Arboretum Žampach

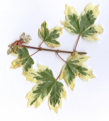
12 Javor mléč - Acer platanoides ´Drummondii´
- Arboretum Žampach

13 javor mléč -  Acer platanoides ´Crimson king´
- Arboretum Žampach

14 javor klen - Acer pseudoplatanus ´Leopoldii´
- Arboretum Žampach

15 javor klen - Acer pseudoplatanus ´Brilliantissimum´
- Arboretum Žampach

16 jvor červený - Acer rubrum
- Arboretum Žampach

17 javor habrolistý -  Acer carpinifolium
- Arboretum Žampach